Skip To Content

30.54 ACRES Davis Road

Lagrange, GA 30241
  • $4,581,000
  • STATUS: Active
  • ON SITE: 960 Days
  • MLS #: 20132133
$4,581,000
  • 0
    BEDS
  • 30.54
    ACRES
  • 0
    BATHS
  • 0
    1/2 BATHS
Type:
Commercial
County:
Area:

School Ratings & Info

Description

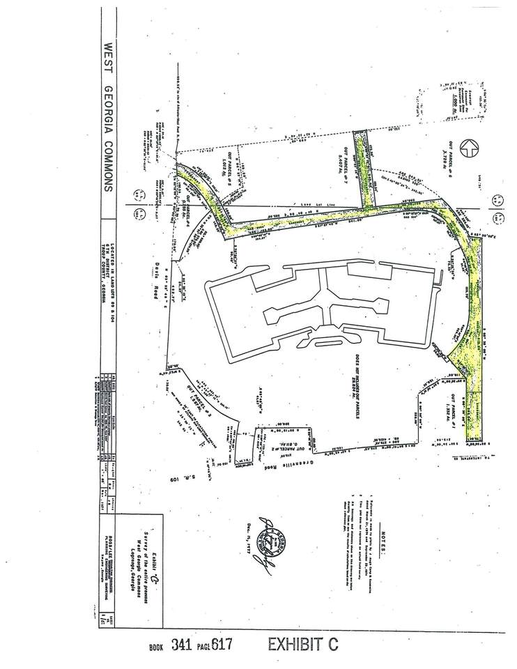
Adjoins LaGrange Mall Property on S. Davis Road. GA TECH Land Plan for Troup Co. puts property in most suitable for development zone. The acreage of 30.54 acres is taken from a composite map prepared by Camp and Associates for Knight, Knight & Malone. The price is $150,000 per acre. A Survey will have to be prepared by a certified land surveyor to determine the exact price for closing. The property is in a TAD. The property also has an easement from the mall property into the property.

Monthly Payment Calculator



Georgia MLS logo© 2026 Georgia Multiple Listing Service, Inc. All rights reserved. The data relating to real estate for sale or lease on this web site comes in part from GAMLS. Real estate listings held by brokerage firms other than The Realty Queen & Team | Keller Williams Realty are marked with the GAMLS logo or an abbreviated logo and detailed information about them includes the name of the listing broker. IDX information is provided exclusively for consumers' personal, non-commercial use and may not be used for any purpose other than to identify prospective properties consumers may be interested in purchasing. Information is deemed reliable but is not guaranteed accurate by GAMLS or The Realty Queen & Team | Keller Williams Realty. Data last updated: 2026-02-16T00:09:13.747.
www.therealtyqueen.com/homes/141124613
Print Image

30.54 ACRES Davis Road Lagrange, GA 30241

  • Price: $4,581,000
  • Status: Active
  • On Site: 960 Days
  • MLS #: 20132133
0
Beds
0
Baths
0
½ Baths
30.54
Acres
County:
Troup
Area:
Lagrange
Property Description
Adjoins LaGrange Mall Property on S. Davis Road. GA TECH Land Plan for Troup Co. puts property in most suitable for development zone. The acreage of 30.54 acres is taken from a composite map prepared by Camp and Associates for Knight, Knight & Malone. The price is $150,000 per acre. A Survey will have to be prepared by a certified land surveyor to determine the exact price for closing. The property is in a TAD. The property also has an easement from the mall property into the property.
Exterior Features

Attached Garage YN No Carport YN No Construction Materials Other Frontage Length Total Road Frontage Length: 750 Garage YN No Lot Features City Lot Lot Size Area 30.54 Lot Size Source Owner Lot Size Units Acres Parking Features Other Road Frontage Type State Road Road Surface Type Paved

Interior Features

Above Grade Finished Area Units Square Feet Below Grade Finished Area Units Square Feet Building Area Total 0 Building Area Units Square Feet Cooling None Cooling YN No Heating None Heating YN No Living Area Source Other Living Area Units Square Feet

Property Features

Electric On Property YN Yes New Construction YN No Property Condition Resale Sewer Public Sewer Tax Annual Amount 13347 Tax Year 2022 Utilities Cable AvailableElectricity AvailableNatural Gas AvailableSewer AvailableWater Available Water Source Public

GAMLS logo Listing provided courtesy of Coldwell Banker Spinks Brown: 706-884-5681. © 2026 Georgia Multiple Listing Service, Inc. All rights reserved. Information Deemed Reliable But Not Guaranteed.


Georgia MLS logo© 2026 Georgia Multiple Listing Service, Inc. All rights reserved. The data relating to real estate for sale or lease on this web site comes in part from GAMLS. Real estate listings held by brokerage firms other than The Realty Queen & Team | Keller Williams Realty are marked with the GAMLS logo or an abbreviated logo and detailed information about them includes the name of the listing broker. IDX information is provided exclusively for consumers' personal, non-commercial use and may not be used for any purpose other than to identify prospective properties consumers may be interested in purchasing. Information is deemed reliable but is not guaranteed accurate by GAMLS or The Realty Queen & Team | Keller Williams Realty. Data last updated: 2026-02-16T00:09:13.747.
 
https://bt-photos.global.ssl.fastly.net/gamls/orig_boomver_1_20132133-2.jpg https://bt-photos.global.ssl.fastly.net/gamls/orig_boomver_1_20132133-2.jpg https://bt-photos.global.ssl.fastly.net/gamls/orig_boomver_1_20132133-2.jpg
Logo
The Realty Queen & Team | Keller Williams Realty
14 Old Roving Rd.
Cartersville GA, 30121